Uskoro počinje obnova Pučkog trga u Červar Portu
Peršurić i Đusto
Izvor:
Grad Poreč
Grad Poreč započinje temeljitu obnovu Pučkog trga u naselju Červar Porat. Rekonstrukcija trga, koju izvodi tvrtka Đusto d.o.o., odabrana putem postupka javne nabave, započet će odmah nakon uvođenja izvođača u posao, a predviđeni rok završetka je početkom iduće godine.
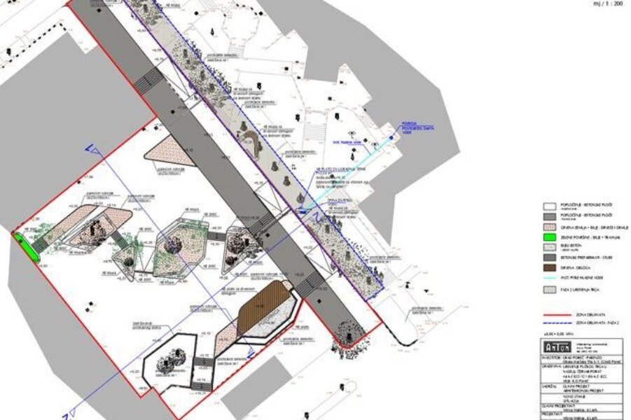
Projekt obnove izradila je tvrtka ”ANTON” d.o.o. iz Poreča, a u potpunosti ga financira Grad Poreč. Cilj projekta je unaprijediti funkcionalnost i estetsku vrijednost trga, zadržavajući njegov postojeći koncept, ali uz modernizaciju i prilagodbu suvremenim potrebama stanovnika.
Arhitektura i raspored Trga
Rekonstrukcijom će se zadržati inicijalna podjela prostora na trg i pješačku stazu. Trg će biti popločen novim betonskim opločnicima većeg formata, dok će zelene površine biti proširene i uređene s novim biljnim vrstama. Također, na trgu će se formirati nove zelene površine omeđene zidićima, rubnjacima i klupama. Predviđena je i izgradnja pozornice u južnom dijelu trga i to na dva platoa različitih površina i visina. Jedan plato se oblaže drvenom oblogom, dok drugi ostaje betonski, a pozornica će omogućiti održavanje različitih kulturnih i društvenih događanja. U sjeverozapadnom dijelu trga planira se izgradnja novih stubišta i rampe, čime će se dodatno povezati dva nivoa trga.
Zelenilo i rasvjeta
Sve postojeće zelene površine na trgu bit će uređene i proširene sadnjom autohtonih biljnih vrsta. Zadržat će se postojeće ladonje, a nova vegetacija uključivat će stablašice, trajnice, ukrasne trave i grmove, koji će svojim cvatnjom i bojama obogatiti prostor tijekom cijele godine. Također, planirano je postavljanje sustava navodnjavanja kap po kap kako bi se osigurala dugotrajna kvaliteta zelenih površina.
U okviru projekta postavit će se i nova vanjska rasvjeta, koja će se izvesti pomoću rasvjetnih stupova visine od oko 5 metara, što će omogućiti bolje osvjetljenje trga i sigurniji boravak na njemu tijekom večernjih sati.
Dosadašnje investicije u Červar Porat
Kako je istaknuo prilikom potpisivanja porečki gradonačelnik Loris Peršurić, obuhvat investicije je 1.610 m², a plan je da radovi počnu početkom listopada.
- Rekonstrukcija Pučkog trga u Červar Portu predstavlja značajnu investiciju u kvalitetu života stanovnika te doprinosi očuvanju i uljepšavanju javnog prostora ovog naselja, koji je kroz protekle godine doživio veće investicije u obliku uređenja gradske plaže, uklanjanja derutnog hotela i akvagana, izgradnje novih molova u marini, potom izgradnje rotora na ulazu u Červar Porat kao i obnovu županijske ceste do samog naselja, povezivanje naselja s električnim mini-busom s centrom Poreča te redovno ulaganje u komunalnu opremu poput javne rasvjete i opreme. Vjerujemo da će obnovljeni trg još jednom postati mjesto okupljanja, kako za domaće stanovništvo koje tamo boravi cijele godine, tako i brojnih gostiju tijekom ljetnih mjeseci, zaključio je Peršurić.


