Sv. Lovreč dobiva novi ulaz s kružnim tokom - najveća investicija u ovoj općini u posljednjih desetak godina

Lokalno
02.05.2020 13:16
Izgradnja kružnog toka u Sv. Lovreču
Izgradnja kružnog toka u Sv. Lovreču
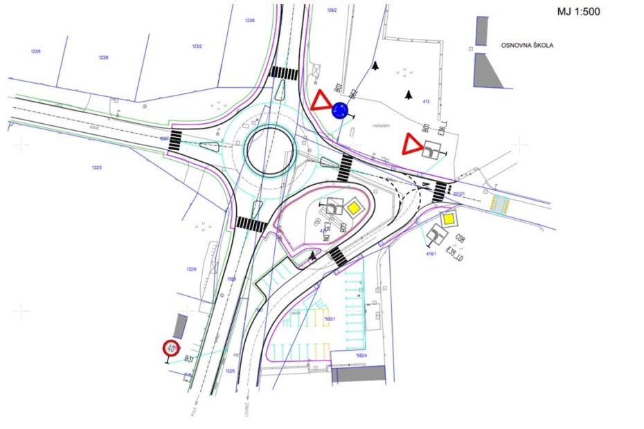
U trenutku kad je sve pauzirano, neizvjesno i s velikim oprezom se planiraju budući koraci, u općini Sveti Lovreč je pokrenuta jedna od najvećih investicija u posljednjih desetak godina, vrijedna približno 3,5 milijuna kuna. Radi se o izgradnji kružnog raskrižja na ulazu u Sveti Lovreč sa županijske prometnice Poreč – Pula.
Kako doznajemo od općinskog načelnika Marka Ljubešića, rezultat će biti prometno sigurniji i estetski reprezentativni novi ulaz u mjesto. S po 50 posto u financiranju sudjeluju Županijska uprava za ceste, koja i vodi ovaj projekt, te Općina Sveti Lovreč.
Projektant je pulski Via Ing d.o.o, a izvođač radova Cesta d.o.o. iz Pule. Predviđeni rok dovršetka je 90 dana od uvođenja izvođača na gradilište koje je aktivirano početkom ovog tjedna.
- Postojeći ulaz u Sveti Lovreč nije dovoljno pregledan i siguran, a sigurnost naših mještana i svih drugih sudionika u prometu nam je na prvom mjestu. To ćemo riješiti novim kružnim raskrižjem koje će imati četiri prometna traka, opremljeno će biti oborinskom odvodnjom i javnom rasvjetom, a projekt uključuje i nogostup od mjesta sve do groblja. Postojeći parkić sa spomenicima će ostati na svom mjestu uz novi kružni tok, dok će nove autobusne čekaonice biti smještene malo dalje od postojećih, u pravcu groblja. Treba reći i da će ulaz u naše mjesto s novim raskrižjem postati puno ljepši nego dosad. Razmišljamo i o adekvatnoj dekoraciji budućeg kružnog toka te bismo uskoro i za to trebali imati rješenje, rekao je načelnik Ljubešić.
Što se regulacije prometa tiče, kazao je da ne bi trebalo biti većih poteškoća jer je cesta dovoljno široka, pa ni u jednom trenutku ne bi trebala biti u potpunosti zatvorena zbog radova. U sklopu privremenog režima postavljeni su semafori, zasad promet teče uobičajeno, a s intenziviranjem radova slijedećeg tjedna, prilagođavat će se stanju na terenu, po segmentima dionice. (Kristina Flegar)
Skica budućeg raskiržja s kružnim tokom
Skica budućeg raskiržja s kružnim tokom
© 2003 - 2026 Parentium Media - Hosted by Plus.hr
Ova stranica koristi kolačiće radi pružanja boljeg korisničkog iskustva. Izjava o privatnosti